基于多模态语义分割的月球皱脊构造提取

刘子芃 才谨豪 胡腾 李彦 康志忠

刘子芃, 才谨豪, 胡腾, 等. 基于多模态语义分割的月球皱脊构造提取[J]. 雷达学报(中英文), 待出版. doi: 10.12000/JR25279
引用本文: 刘子芃, 才谨豪, 胡腾, 等. 基于多模态语义分割的月球皱脊构造提取[J]. 雷达学报(中英文), 待出版. doi: 10.12000/JR25279
LIU Zipeng, CAI Jinhao, HU Teng, et al. Extraction of lunar wrinkle ridges structure based on multimodal semantic segmentation[J]. Journal of Radars, in press. doi: 10.12000/JR25279
Citation: LIU Zipeng, CAI Jinhao, HU Teng, et al. Extraction of lunar wrinkle ridges structure based on multimodal semantic segmentation[J]. Journal of Radars, in press. doi: 10.12000/JR25279

基于多模态语义分割的月球皱脊构造提取

DOI: 10.12000/JR25279 CSTR: 32380.14.JR25279
基金项目: 国家自然科学基金(62495033)
详细信息
    作者简介:

    刘子芃,本科生,主要研究方向为月球与行星遥感、摄影测量与遥感等

    才谨豪,博士生,主要研究方向为行星遥感制图、行星表面撞击坑统计定年等

    胡 腾,副教授,主要研究方向为无人机数据处理理论与方法、行星遥感制图、行星表面撞击坑统计定年等

    李 彦,讲师,主要研究方向为物理要素动态制图、高精度三维建模及数字孪生等

    康志忠,教授,主要研究方向为月球与行星遥感、激光雷达数据处理、室内自主定位等

    通讯作者:

    康志忠 zzkang@cugb.edu.cn

    责任主编:徐丰 Corresponding Editor: XU Feng

  • 中图分类号: P237

Extraction of Lunar Wrinkle Ridges Structure Based on Multimodal Semantic Segmentation

Funds: The National Natural Science Foundation of China (62495033)
More Information
  • 摘要: 月球皱脊是广泛分布于月表月海区域的重要线状构造,对研究月球应力场演化和火山活动历史具有重要意义。传统的皱脊识别与编目主要依赖人工解译,效率低且主观性强。该文提出了一种基于多模态语义分割的皱脊自动提取方法,通过构建高质量的皱脊遥感图像标注数据集,并引入合成孔径雷达(SAR)数据,通过迭代训练构建了基于DeepLabV3+的多模态语义分割网络WR-Net。该网络引入动态融合模块和注意力机制,有效优化了多模态图像的特征提取与融合过程,显著提升了模型的稳健性与精度。在多模态皱脊测试集上,WR-Net取得了优异的性能(Precision=95.516%, Recall=89.963%, F1-Score=92.657%, MIoU=92.944%)。进一步地,该团队利用WR-Net完成了月球南纬70°至北纬70°范围内皱脊的自动识别与提取,并对结果进行了编目与统计。该文提出的方法不仅适用于皱脊的识别,也为月球及其他行星体上类似线状结构的自动提取提供了有效范式。

     

  • 图  1  月球皱脊示例

    Figure  1.  Example of lunar wrinkle ridge

    图  2  皱脊样本多模态数据集

    Figure  2.  Samples from multimodal dataset of wrinkle ridges

    图  3  WR-Net示意图

    Figure  3.  Diagram of WR-Net

    图  4  CBAM模块示意图

    Figure  4.  Diagram of the CBAM module

    图  5  ESCA模块示意图

    Figure  5.  Diagram of the ESCA module

    图  6  动态融合模块1

    Figure  6.  Dynamic fusion module 1

    图  7  动态融合模块2

    Figure  7.  Dynamic fusion module 2

    图  8  CBAM 与 ResNet 的残差块相结合

    Figure  8.  CBAM is combined with the residual block of ResNet

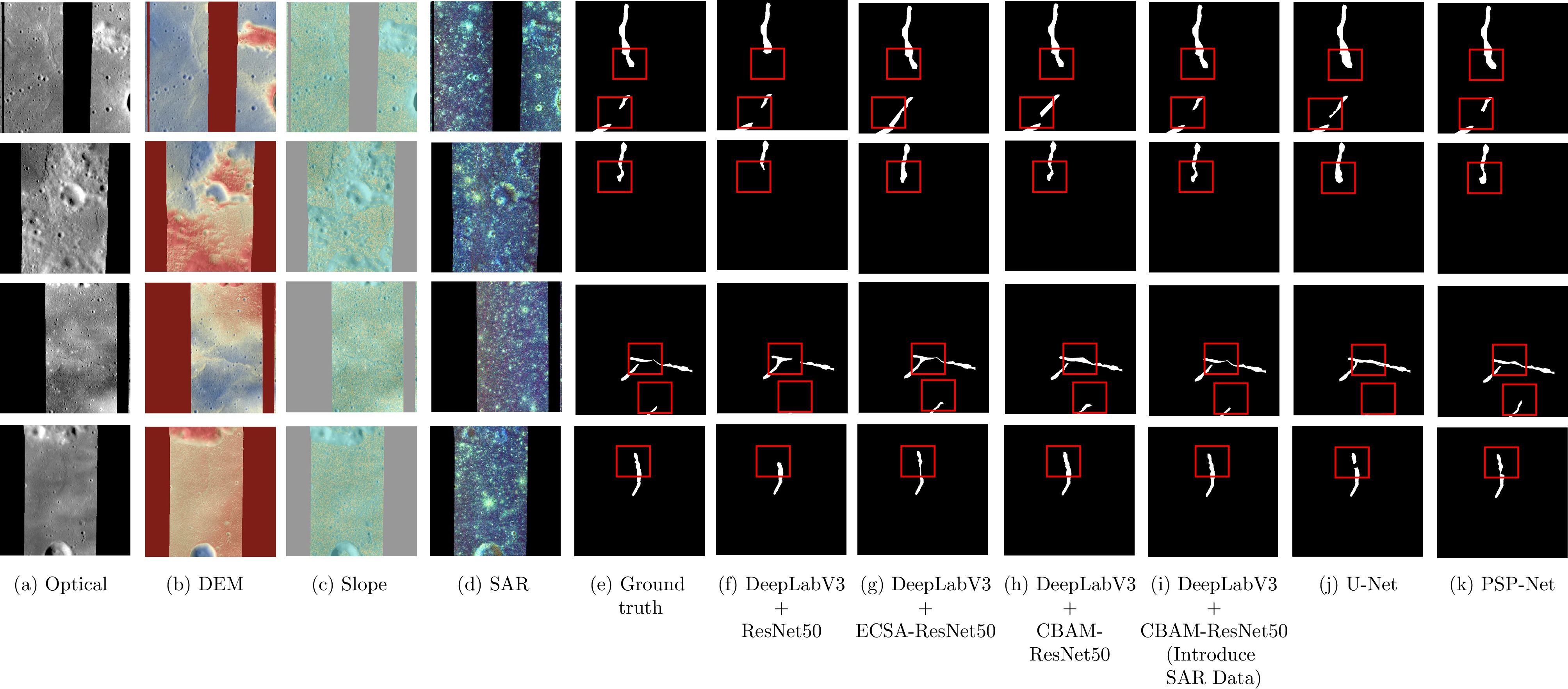
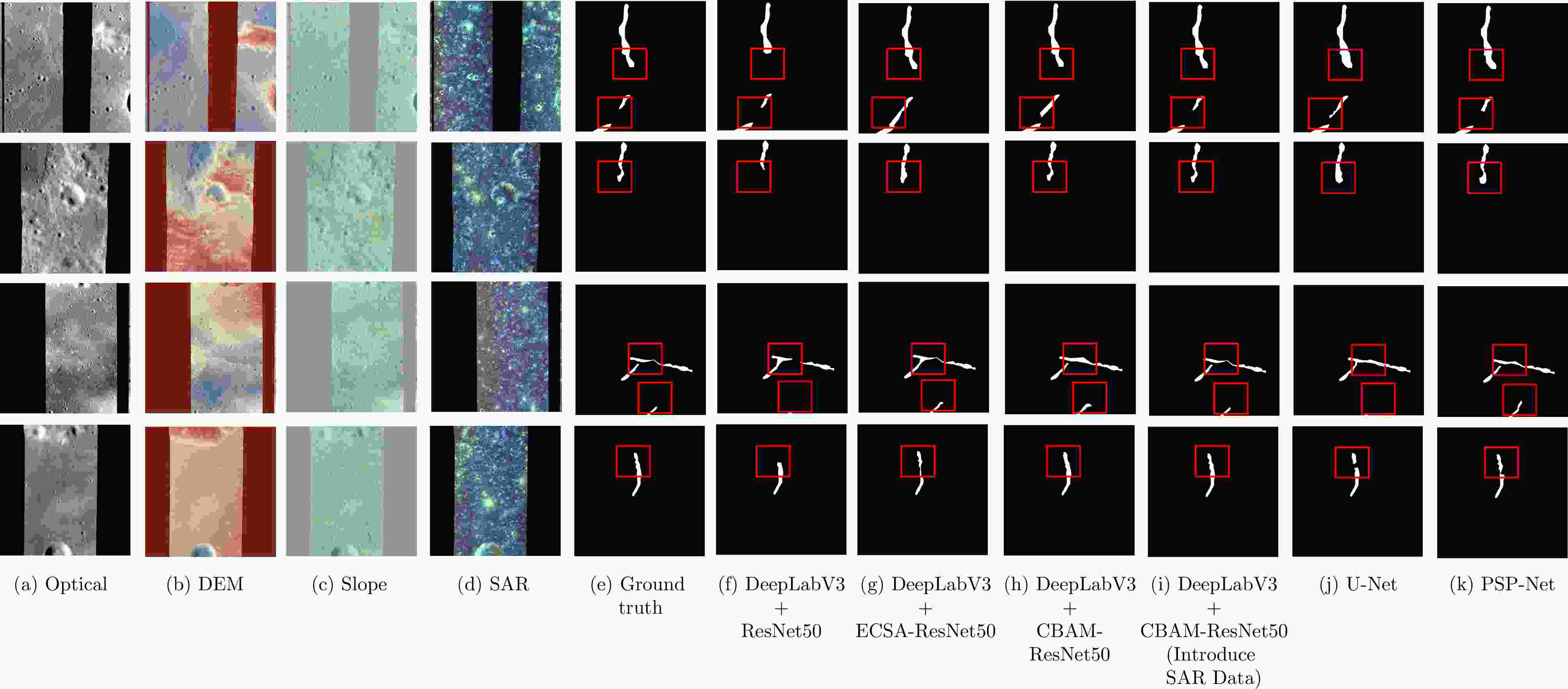
    图  9  不同网络的皱脊检测结果

    Figure  9.  Wrinkle ridges detection results of different networks

    图  10  提取的月球皱脊全球分布特征

    Figure  10.  Global distribution of extracted lunar wrinkle ridges

    图  11  准确检测的皱脊样例及其他线性构造被误识别为皱脊的样例

    Figure  11.  The accurately detected wrinkled ridges examples and other linear constructions are misrecognized as wrinkled ridges examples

    图  12  月球皱脊走向分布玫瑰图

    Figure  12.  Lunar wrinkle ridges trend distribution rose diagram

    图  13  提取出的月球皱脊形貌参数频度分布

    Figure  13.  The frequency distribution of the extracted lunar wrinkle ridges morphology parameters

    图  14  典型区域提取结果对比图

    Figure  14.  Comparison chart of typical region extraction results

    图  15  新提取的小型皱脊($ 2.23{^{\circ}}\mathrm{S},51.14{^{\circ}}\mathrm{E} $)定年结果

    Figure  15.  The dating results of newly extracted small wrinkle ridges (2.23°S, 51.14°E)

    图  16  提取的皱脊长度(或宽度)与高度及高程差的关系图。需要注意的是,分段数量已根据各分段的长度加权。

    Figure  16.  The graph showing the relationship between the extracted wrinkle ridges length (or width), height and elevation difference. It should be noted that the number of segments has been weighted according to the length of each segment.

    表  1  多模态数据集

    Table  1.   Multimodal dataset

    数据集 数据数量 数据增强
    训练集(60%) 4332×5 17328×5
    验证集(20%) 1444×5 5776×5
    测试集(20%) 1443×5 5772×5
    下载: 导出CSV

    1  WR-Net训练流程

    1.   WR-Net training process

     Input: 多模态数据集D={(I_opt, I_dem, I_slope, I_sar, Y)},Y为皱脊真值掩膜,M为最大训练轮数(epochs)
     Output: 训练好的 WR-Net 模型
     1. Initialize WR-Net model
     2. Initialize optimizer: Optimizer ← RMSprop(learning_rate=1e-4, weight_decay=1e-5)
     3. Initialize loss function: Loss ← Dice Loss + FocalLoss(α=0.25, γ=2.0)
     4. for epoch ← 1 to M do
     5.  loss_sum ← 0 // 初始化当前轮次损失累加器
     6.  for batch in DataLoader(D, batch_size=4, shuffle=True) do
     7.   I_opt, I_dem, I_slope, I_sar, Y ← batch // 获取当前批次数据
     8.   feat_enc ← CBAM-ResNet50(I_opt, I_dem, I_slope, I_sar) // CBAM-ResNet50 编码
     9.   feat_aspp ← ASPP(feat_enc) // 多尺度上下文聚合
     10.   feat_dec ← ESCA-Decoder(feat_aspp, skip_connections) // 解码器上采样融合
     11.   pred ← DynamicFusion(feat_dec, modality_weights) // 动态加权融合输出预测
     12.   loss ← Loss(pred, Y) // 计算损失
     13.   Optimizer.zero_grad() // 清零梯度
     14.   loss.backward() // 反向传播
     15.   Optimizer.step() // 更新参数
     16.   loss_sum ← loss_sum + loss.item() // 累加损失值
     17. end for
     18. Update learning rate scheduler (CosineAnnealingLR) // 更新学习率
     19. Output average loss for current epoch: loss_sum / number_of_batches // 输出平均损失
     20. end for
     21. return WR-Net model
    下载: 导出CSV

    表  2  基于DeepLabV3+ResNet50的多模态数据消融实验结果

    Table  2.   Ablation study results of multimodal data based on DeepLabV3+ResNet50

    输入数据类型 Precision Recall F1-Score MIoU
    Optical 69.252% 70.123% 69.685% 74.289%
    DEM 74.623% 72.847% 73.724% 78.456%
    SAR 74.856% 72.134% 73.481% 78.127%
    Slope 75.912% 73.456% 74.664% 79.823%
    Multimodal 80.135% 78.432% 79.274% 81.995%
    注:加粗数值表示最优结果。
    下载: 导出CSV

    表  3  不同网络模型在验证集和测试集上的结果

    Table  3.   Results of different network models on validation and test sets

    模型 Dataset Precision Recall F1-Score MIoU
    DeepLabV3+ResNet50 Val set 86.214% 83.376% 84.776% 86.156%
    Test set 80.135% 78.432% 79.274% 81.995%
    DeepLabV3+ESCA-ResNet50 Val set 95.812% 93.683% 94.736% 94.785%
    Test set 88.844% 89.127% 88.985% 89.625%
    DeepLabV3+CBAM-ResNet50(WR-Net) Val set 96.214% 93.512% 94.844% 94.882%
    Test set 89.412% 88.763% 89.084% 89.714%
    DeepLabV3+CBAM-ResNet50(WR-Net)
    Introduce SAR Data
    Val set 97.418% 94.430% 95.901% 95.942%
    Test set 95.516% 89.963% 92.657% 92.944%
    U-Net Val set 93.255% 79.626% 85.904% 87.341%
    Test set 91.859% 78.941% 84.912% 86.672%
    PSP-Net Val set 96.366% 87.238% 91.521% 92.047%
    Test set 95.074% 86.521% 90.596% 91.289%
    注:加粗数值表示最优。
    下载: 导出CSV
  • [1] BINDER A B. Post-imbrian global lunar tectonism: Evidence for an initially totally molten Moon[J]. The Moon and the Planets, 1982, 26(2): 117–133. doi: 10.1007/BF00929277.
    [2] LU Tianqi, ZHU Kai, CHEN Shengbo, et al. The 1:2,500,000-scale global tectonic map of the Moon[J]. Science Bulletin, 2022, 67(19): 1962–1966. doi: 10.1016/j.scib.2022.08.017.
    [3] WATTERS T R. Wrinkle ridge assemblages on the terrestrial planets[J]. Journal of Geophysical Research: Solid Earth, 1988, 93(B9): 10236–10254. doi: 10.1029/JB093iB09p10236.
    [4] SOLOMON S C and HEAD J W. Vertical movement in mare basins: Relation to mare emplacement, basin tectonics, and lunar thermal history[J]. Journal of Geophysical Research: Solid Earth, 1979, 84(B4): 1667–1682. doi: 10.1029/JB084iB04p01667.
    [5] YUE Zongyu, LI Wei, DI Kaichang, et al. Global mapping and analysis of lunar wrinkle ridges[J]. Journal of Geophysical Research: Planets, 2015, 120(5): 978–994. doi: 10.1002/2014JE004777.
    [6] SHARPTON V L and HEAD III J W. Stratigraphy and structural evolution of southern Mare Serenitatis: A reinterpretation based on Apollo Lunar Sounder Experiment data[J]. Journal of Geophysical Research: Solid Earth, 1982, 87(B13): 10983–10998. doi: 10.1029/JB087iB13p10983.
    [7] ANDREWS-HANNA J C, BESSERER J, HEAD III J W, et al. Structure and evolution of the lunar Procellarum region as revealed by GRAIL gravity data[J]. Nature, 2014, 514(7520): 68–71. doi: 10.1038/nature13697.
    [8] RAVAT D, PURUCKER M E, and OLSEN N. Lunar magnetic field models from lunar prospector and SELENE/Kaguya along-track magnetic field gradients[J]. Journal of Geophysical Research: Planets, 2020, 125(7): e2019JE006187. doi: 10.1029/2019JE006187.
    [9] WATTERS T R. Lunar wrinkle ridges and the evolution of the nearside lithosphere[J]. Journal of Geophysical Research: Planets, 2022, 127(3): e2021JE007058. doi: 10.1029/2021JE007058.
    [10] SPUDIS P D, MCGOVERN P J, and KIEFER W S. Large shield volcanoes on the Moon[J]. Journal of Geophysical Research: Planets, 2013, 118(5): 1063–1081. doi: 10.1002/jgre.20059.
    [11] MONTÉSI L G J and ZUBER M T. Clues to the lithospheric structure of Mars from wrinkle ridge sets and localization instability[J]. Journal of Geophysical Research: Planets, 2003, 108(E6): 5048. doi: 10.1029/2002JE001974.
    [12] WATTERS T R and JOHNSON C L. Lunar tectonics[M]. WATTERS T R and SCHULTZ R A. Planetary Tectonics. Cambridge: Cambridge University Press, 2010: 121–182. doi: 10.1017/CBO9780511691645.005.
    [13] THOMPSON T J, ROBINSON M S, WATTERS T R, et al. Global lunar wrinkle ridge identification and analysis[C]. The 48th Lunar and Planetary Science Conference, The Woodlands, USA, 2017: 2665.
    [14] VERMA N, BHATT M, DANGI M, et al. Exploring water-ice deposits in lunar polar craters with Chandrayaan-2 DFSAR data[J]. Icarus, 2025, 432: 116492. doi: 10.1016/j.icarus.2025.116492.
    [15] NOZETTE S, SPUDIS P, BUSSEY B, et al. The lunar reconnaissance orbiter miniature radio frequency (Mini-RF) technology demonstration[J]. Space Science Reviews, 2010, 150(1): 285–302. doi: 10.1007/s11214-009-9607-5.
    [16] ONO T, KUMAMOTO A, NAKAGAWA H, et al. Lunar radar sounder observations of subsurface layers under the nearside Maria of the moon[J]. Science, 2009, 323(5916): 909–912. doi: 10.1126/science.1165988.
    [17] CAHILL J T S, THOMSON B J, PATTERSON G W, et al. The Miniature Radio Frequency instrument’s (Mini-RF) global observations of Earth’s Moon[J]. Icarus, 2014, 243: 173–190. doi: 10.1016/j.icarus.2014.07.018.
    [18] TARIQ A, YAN Jianguo, DENG Qingyun, et al. Analysis and mapping of lunar wrinkle ridges (LWRs) using automated LWRs detection process with LROC-WAC and LOLA data[J]. Frontiers in Astronomy and Space Sciences, 2023, 10: 1037395. doi: 10.3389/fspas.2023.1037395.
    [19] ROBBINS S J, ANTONENKO I, KIRCHOFF M R, et al. The variability of crater identification among expert and community crater analysts[J]. Icarus, 2014, 234: 109–131. doi: 10.1016/j.icarus.2014.02.022.
    [20] ZHANG Sheng, LIU Jianzhong, MICHAEL G, et al. Detecting lunar linear structures based on multimodal semantic segmentation: The case of sinuous rilles[J]. Remote Sensing, 2024, 16(9): 1602. doi: 10.3390/rs16091602.
    [21] HUANG Liwei, JIANG Bitao, LV Shouye, et al. Deep-learning-based semantic segmentation of remote sensing images: A survey[J]. IEEE Journal of Selected Topics in Applied Earth Observations and Remote Sensing, 2024, 17: 8370–8396. doi: 10.1109/JSTARS.2023.3335891.
    [22] HU Yifan, XIAO Jun, LIU Lupeng, et al. Detection of small impact craters via semantic segmenting lunar point clouds using deep learning network[J]. Remote Sensing, 2021, 13(9): 1826. doi: 10.3390/rs13091826.
    [23] WAGNER R V, SPEYERER E J, ROBINSON M S, et al. New mosaicked data products from the LROC team[C]. The 46th Lunar and Planetary Science Conference, The Woodlands, USA, 2015: 1473.
    [24] BARKER M K, MAZARICO E, NEUMANN G A, et al. A new lunar digital elevation model from the Lunar Orbiter Laser Altimeter and SELENE Terrain Camera[J]. Icarus, 2016, 273: 346–355. doi: 10.1016/j.icarus.2015.07.039.
    [25] XU Zihan, ZHAO Fei, LU Pingping, et al. A robust digital elevation model-based registration method for Mini-RF/Mini-SAR images[J]. Remote Sensing, 2025, 17(4): 613. doi: 10.3390/rs17040613.
    [26] ZHAO Fei, LU Pingping, MENG Tingyu, et al. Selection of landing sites for the Chang’E-7 mission using multi-source remote sensing data[J]. Remote Sensing, 2025, 17(7): 1121. doi: 10.3390/rs17071121.
    [27] RANEY R K, CAHILL J T S, PATTERSON G W, et al. The m-chi decomposition of hybrid dual-polarimetric radar data with application to lunar craters[J]. Journal of Geophysical Research: Planets, 2012, 117(E12): E00H21. doi: 10.1029/2011JE003986.
    [28] PIZER S M, AMBURN E P, AUSTIN J D, et al. Adaptive histogram equalization and its variations[J]. Computer Vision, Graphics, and Image Processing, 1987, 39(3): 355–368. doi: 10.1016/S0734-189X(87)80186-X.
    [29] RAMPONI G. A cubic unsharp masking technique for contrast enhancement[J]. Signal Processing, 1998, 67(2): 211–222. doi: 10.1016/S0165-1684(98)00038-3.
    [30] CHEN L C, PAPANDREOU G, KOKKINOS I, et al. DeepLab: Semantic image segmentation with deep convolutional nets, atrous convolution, and fully connected CRFs[J]. IEEE Transactions on Pattern Analysis and Machine Intelligence, 2018, 40(4): 834–848. doi: 10.1109/TPAMI.2017.2699184.
    [31] HE Kaiming, ZHANG Xiangyu, REN Shaoqing, et al. Deep residual learning for image recognition[C]. 2016 IEEE Conference on Computer Vision and Pattern Recognition, Las Vegas, USA, 2016: 770–778. doi: 10.1109/CVPR.2016.90.
    [32] ZHAO Hengshuang, SHI Jianping, QI Xiaojuan, et al. Pyramid scene parsing network[C]. 2017 IEEE Conference on Computer Vision and Pattern Recognition, Honolulu, USA, 2017: 6230–6239. doi: 10.1109/CVPR.2017.660.
    [33] RONNEBERGER O, FISCHER P, and BROX T. U-Net: Convolutional networks for biomedical image segmentation[M]. NAVAB N, HORNEGGER J, WELLS W M, et al. Medical Image Computing and Computer-Assisted Intervention – MICCAI 2015. Cham: Springer, 2015: 234–241. doi: 10.1007/978-3-319-24574-4_28.
    [34] WOO S, PARK J, LEE J Y, et al. CBAM: Convolutional block attention module[M]. FERRARI V, HEBERT M, SMINCHISESCU C, et al. Computer Vision – ECCV 2018. Cham: Springer, 2018: 3–19. doi: 10.1007/978-3-030-01234-2_1.
    [35] ZHAO Zixiang, BAI Haowen, ZHANG Jiangshe, et al. CDDFuse: Correlation-driven dual-branch feature decomposition for multi-modality image fusion[C]. 2023 IEEE/CVF Conference on Computer Vision and Pattern Recognition, Vancouver, Canada, 2023: 5906–5916. doi: 10.1109/CVPR52729.2023.00572.
    [36] SZEGEDY C, LIU Wei, JIA Yangqing, et al. Going deeper with convolutions[C]. 2015 IEEE Conference on Computer Vision and Pattern Recognition, Boston, USA, 2015: 1–9. doi: 10.1109/CVPR.2015.7298594.
    [37] EVERINGHAM M, VAN GOOL L, WILLIAMS C K I, et al. The PASCAL Visual Object Classes (VOC) challenge[J]. International Journal of Computer Vision, 2010, 88(2): 303–338. doi: 10.1007/s11263-009-0275-4.
    [38] POWERS D M W. Evaluation: From precision, recall and F-measure to ROC, informedness, markedness & correlation[J]. Journal of Machine Learning Technologies, 2011, 2(1): 2229–3981. doi: 10.9735/2229-3981.
    [39] LI Shutao, KANG Xudong, FANG Leyuan, et al. Pixel-level image fusion: A survey of the state of the art[J]. Information Fusion, 2017, 33: 100–112. doi: 10.1016/j.inffus.2016.05.004.
    [40] HIESINGER H, JAUMANN R, NEUKUM G, et al. Ages of mare basalts on the lunar nearside[J]. Journal of Geophysical Research: Planets, 2000, 105(E12): 29239–29275. doi: 10.1029/2000JE001244.
    [41] HIESINGER H, HEAD III J W, WOLF U, et al. Ages and stratigraphy of mare basalts in Oceanus Procellarum, Mare Nubium, Mare Cognitum, and Mare Insularum[J]. Journal of Geophysical Research: Planets, 2003, 108(E7): 5065. doi: 10.1029/2002JE001985.
    [42] YUE Zongyu, MICHAEL G G, DI Kaichang, et al. Global survey of lunar wrinkle ridge formation times[J]. Earth and Planetary Science Letters, 2017, 477: 14–20. doi: 10.1016/j.jpgl.2017.07.048.
    [43] 卢瑜. 月球雨海内部年轻皱脊研究[D]. [硕士论文]. 南京大学, 2019.

    LU Yu. Study on young wrinkle ridges inside Mare Imbrium[D]. [Master dissertation], Nanjing University, 2019.
    [44] HEAD III J W. Lunar volcanism in space and time[J]. Reviews of Geophysics, 1976, 14(2): 265–300. doi: 10.1029/RG014i002p00265.
    [45] HUAN Linxi, XUE Nan, ZHENG Xianwei, et al. Unmixing convolutional features for crisp edge detection[J]. IEEE Transactions on Pattern Analysis and Machine Intelligence, 2022, 44(10): 6602–6609. doi: 10.1109/TPAMI.2021.3084197.
    [46] ROBBINS S. A new global database of lunar impact craters >1–2 km: 1. Crater locations and sizes, comparisons with published databases, and global analysis[J]. Journal of Geophysical Research: Planets, 2019, 124(4): 871–892. doi: 10.1029/2018JE005592.
    [47] BILOTTI F and SUPPE J. The global distribution of wrinkle ridges on Venus[J]. Icarus, 1999, 139(1): 137–157. doi: 10.1006/icar.1999.6092.
    [48] WANG Chi, JIA Yingzhuo, XUE Changbin, et al. Scientific objectives and payload configuration of the Chang’E-7 mission[J]. National Science Review, 2024, 11(2): nwad329. doi: 10.1093/nsr/nwad329.
  • 加载中
图(16) / 表(4)
计量
  • 文章访问数: 
  • HTML全文浏览量: 
  • PDF下载量: 
  • 被引次数: 0
出版历程
  • 收稿日期:  2025-12-30
  • 修回日期:  2026-03-14

目录

    /

    返回文章
    返回